
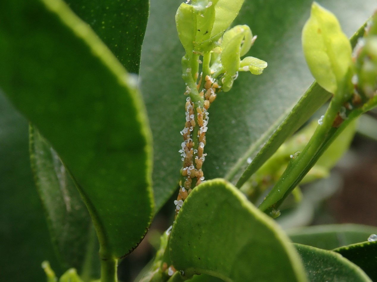
"פסילת ההדר האסייתית", או בשמה המדעי Diaphorina citri Kuwayama, מוכרת כמזיק של הדרים וכווקטור של מחלת הגרינינג - מחלת הדרים שנחשבת כמחלה ההרסנית ביותר בהדרים, ונגרמת על ידי החיידק "Candidatus Liberibacter". המחלה משמידה את העץ ומביאה למותו, כיוון שאין דרך לרפא עצים.
"פסילת ההדר האסייתית" מוכרת ביבשות צפון ודרום אמריקה, בדרום מזרח אסיה עם תפוצה עד אירן וערב הסעודית ובמספר מדינות מועט בדרום אפריקה. בעבר, מתו ונהרסו מטעים שלמים, בברזיל, קליפורניה, פלורידה וקובה.
הנגע (שהוא כאמור וקטור למחלה) זוהה לראשונה בישראל לאחרונה באזור עמק חפר לאחר זיהוי מורפולוגי ואימות בבדיקות מולקולריות במעבדות השירותים להגנת הצומח במשרד החקלאות. לאחר הזיהוי, נעשה סקר נרחב באזור הנגוע ובשאר חלקי הארץ וביעור נקודתי.

בשל רמות האוכלוסייה הגבוהות שנמצאו באותן חלקות נגועות, הנחת העבודה, במשרד החקלאות היא שקיימת אוכלוסייה נוספת באזור ההתפרצות, מתחת לסף הגילוי של מערך הניטור, וייתכן שגם במקומות נוספים בארץ.
במקביל לסקר הוקם מערך ניטור והוצבו מלכודות ניטור חדשות במרחב הקרוב להמצאות המזיק. בשל רמת הסיכון הגבוהה של המזיק, ובהתאם לנוהל נגעים חדשים במשרד החקלאות, התקיים דיון חירום והוחלט לרסס את החלקות הנגועות במטרה למגר את הנגע.
לאור כך, הכינו במשרד החקלאות תכנית מפורטת לביעור הפסילה במטרה להכחידה. התכנית תכלול ריסוסים בכ-750 דונם פרדסים באזור עמק חפר הנגוע החל מחודשי החורף ולאורך השנה. החקלאים יפוצו במסגרת הביטוח של הקרן לנזקי טבע (קנ"ט). התכנית תלווה בניטור רציף של אוכלוסיית המזיק בשטח הנגוע וביתר חלקי הארץ ותתבצע הערכה והתאמות, במידת הצורך, בתחילת כל עונה מעונות השנה. בישראל כ-169 אלף דונם מטעי הדרים.
במשרד החקלאות מסבירים כי בשלב זה לא ניתן להצביע על מקור החדירה הראשוני לארץ, אך כיוון שהפסילה יכולה להגיע לארץ רק על גבי עלים וענפים של פונדקאים שאינם מיובאים באופן מוסדר, רוב הסיכויים שמקור הנגע בחומר צמחי שהוברח ממדינה נגועה. ככל הנראה, על גבי שתילי הדרים או קאפיר ליים שמוברחים לישראל.
שלומית ציוני, מנהלת השירותים להגנת הצומח ולביקורת (בפועל): "פסילת ההדר האסייתית היא נגע שעלול להוביל להתבססות מחלה מסוכנת שתשים את כל ענף פירות ההדר בארץ בסכנת הכחדה בשל היותה הווקטור שמפיץ אותה. בינתיים, לא גילינו עוד אזורים נגועים, אך מפקחי המשרד ממשיכים כל הזמן בפעולות למיגורה דרך הדברה שתוביל להכחדת המזיק לפני שייגרם נזק גדול. בשלב זה, לשמחתי, מפקחי המשרד שולטים במצב ורואים תוצאות חיוביות לפעולת ההדברה. יחד עם זאת, המפקחים ממשיכים במאמצים לאתר את הנגע שייתכן ונמצא במקומות אחרים בארץ, זאת מפני שגילוי מוקדם מגביר את הסיכויים להכחדת המזיק ועלותו לאין שיעור פחותה מניסיונות הדברה של אוכלוסיות מבוססות".
עוד מוסיפה ציוני: "אם לא נצליח להכחיד את הנגע במבצע הממוקד הזה, יהיה זה איום ממשי על ענף ההדרים המקומי עד כדי הכחדתו, כפי שקרה במקומות אחרים בעולם, כמו גם הגברת השימוש בקוטלי חרקים על פני שנים ובכל הארץ".






0 תגובות